A LOUER – PUSIGNAN – 207 m² non divisibles
Référence : 862925-0L
Votre contact
Sophie
MEZIN
Associée - Directrice Département Bureaux

06 67 30 99 26
s.mezin@omnium1947.com
06 67 30 99 26
s.mezin@omnium1947.com
Votre contact pour ce bien
Sophie
MEZIN
Associée - Directrice Département Bureaux
06 67 30 99 26
s.mezin@omnium1947.com
A LOUER – PUSIGNAN – 207 m² non divisibles
Référence : 862925-0L
Description
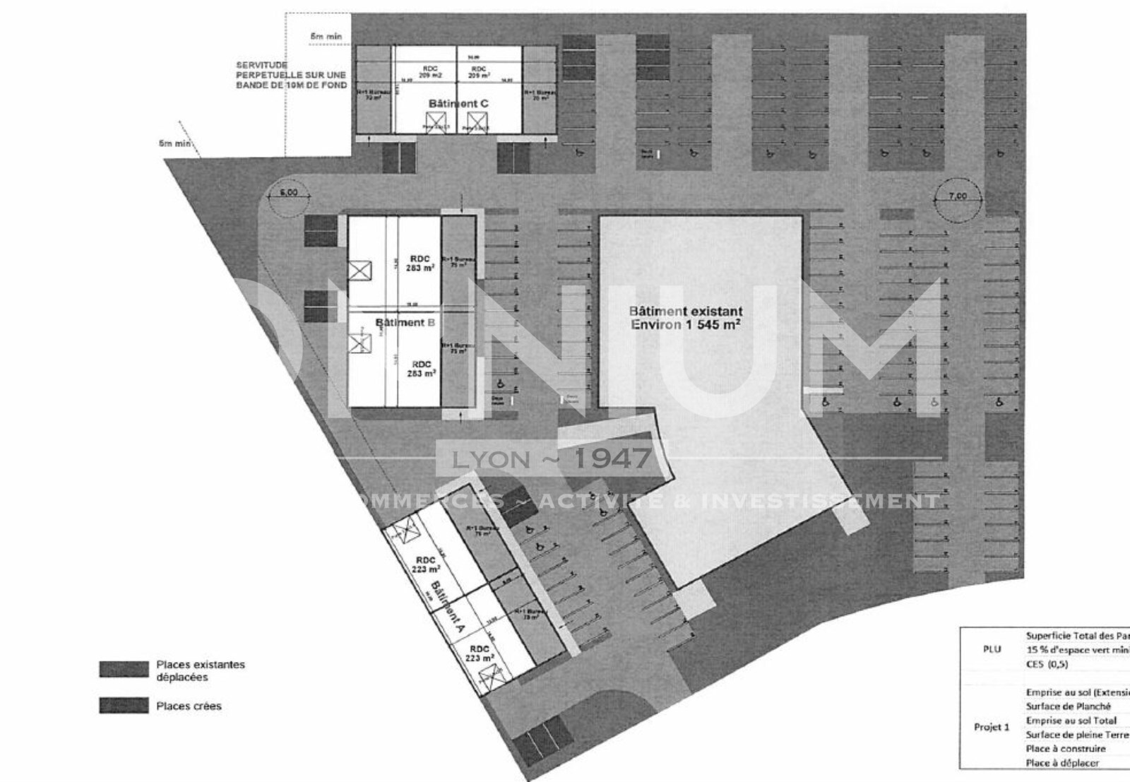
OMNIUM vous propose à la location des bureaux de 207 m² climatisés en RDC sur un site sécurisé à proximité de l'aéroport St Exupery. Ces bureaux sont loués avec 9 places de parking.
Bus LIGNE 47 - Pusignan Gutenberg
Autoroute A432
Aéroport Lyon Saint Exupéry
SNCF Lyon-St-Exupéry-TGV (France)
Votre contact : Sophie MEZIN
Directrice Générale - Associée
06 67 30 99 26
Les informations sur les risques auxquels ce bien est exposé sont disponibles sur le site Géorisques : www.georisques.gouv.fr
- Site sécurisé avec clôture métallique et portail d'entrée automatique
- Climatisation
- Fibre optique
- 9 parkings
- Surface RDC : 207 m²
Annonces similaires
Bureaux
LE SUNSTONE – JONAGE – A VENDRE OU A LOUER – JONAGE – 592 m² divisibles à partir de 176 m²
OMNIUM vous propose à la vente et la location 592 m² de bureaux divisibles en très bon état dans un...
Bureaux
A LOUER – MEYZIEU – 67 m² non divisibles
OMNIUM vous propose cette petite surface de 67m², en bon état, en plein coeur de Meyzieu (12 minutes du Tramway...
Demande de rendez-vous
A LOUER – PUSIGNAN – 207 m² non divisibles