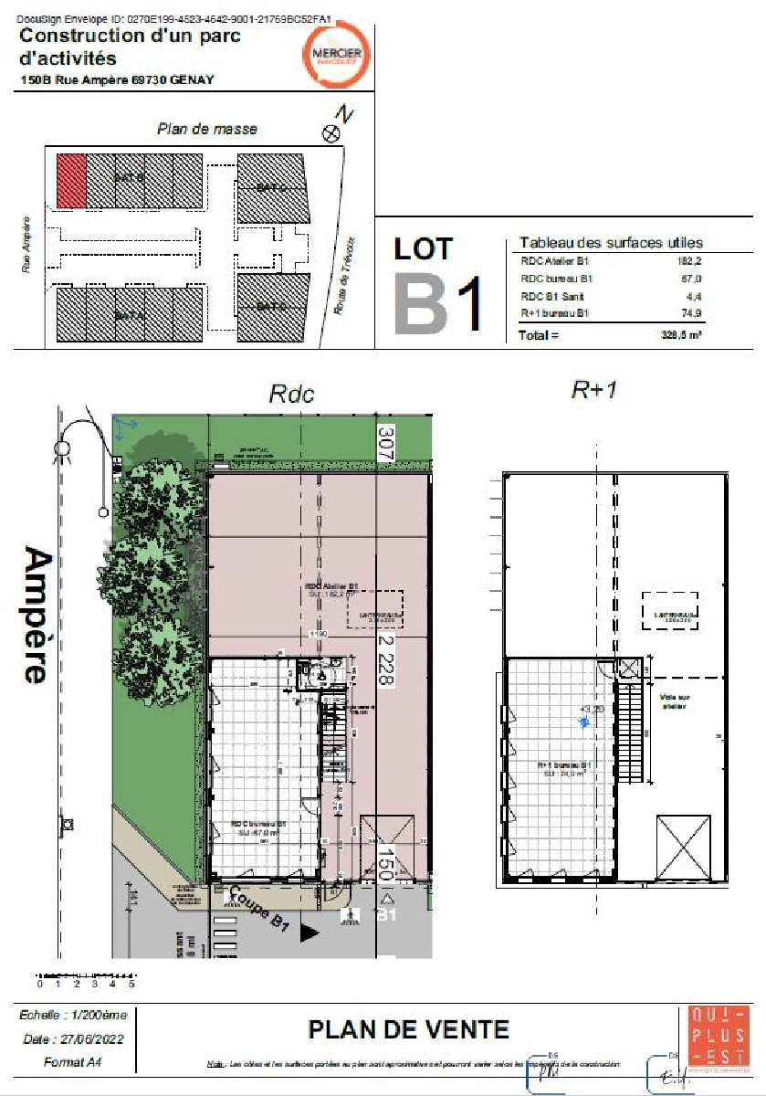
Bâtiment A – A VENDRE – GENAY – 328 m² non divisibles
Référence : 1098423-0V
Votre contact
Alexis
MOREL
Consultant département Activité / Logistique

06 10 02 72 59
a.morel@omnium1947.com
06 10 02 72 59
a.morel@omnium1947.com
Votre contact pour ce bien
Alexis
MOREL
Consultant département Activité / Logistique
06 10 02 72 59
a.morel@omnium1947.com
Bâtiment A – A VENDRE – GENAY – 328 m² non divisibles
Référence : 1098423-0V
Description
OMNIUM vous propose à la vente, à Genay, au sein du parc d'activité SOLAR PARK, des locaux neufs mixtes : activité / stockage et bureaux Ce site propose des prestations de qualités : belle hauteur, portes plain-pied, bardage double peau, un portail électrique garantissant un site clos et sécurisé, et 6 parkings.
Situé vers les axes autoroutiers (A46, A6, A432) et accessible en transports en commun (bus, train).
Autoroute A46 à proximité immédiate
Autoroute A6 via l'A466 - accès direct
Bus N° 43 à 100 m² (Gare de Vaise / Genay)
SNCF Albigny Neuville à 2 kms
Aéroport Lyon St Exupéry à 30 mn
Votre contact : Alexis MOREL
Directeur département Activité / Logistique
06.10.02.72.59
Les informations sur les risques auxquels ce bien est exposé sont disponibles sur le site Géorisques : www.georisques.gouv.fr
- Site sécurisé
- Activité :
- Etat des locaux : Neuf
- Couverture : Bac acier
- Charpente : Métallique
- Murs : Bardage double
- Sol : Béton traité quartz
- Hauteur sous plafond max. : 6m
- Charge/sol : 1,5 T/m²
- Mezzanine : surcharge de 500kg/m²
- Accès plain pied
- Portes sectionnelles électriques 3x3,5m
- Puissance Electrique. : 36 kVa / Tarif bleu
- Aérothermes gaz
- Eclairage : zénithal / LED
- Bureaux :
- Conforme RT 2012
- Cloisons périphériques
- Faux plafond
- Eclairage : dalles LED
- Clim. double flux
- Plinthes périphériques
- Surface RDC : 253,4 m²
Annonces similaires
Locaux d'activité
A LOUER – NEUVILLE SUR SAONE – 230 m² non divisibles
Omnium vous propose un local d'activité en bon état, situé au sein d'un parc d'activité à Neuville-sur-Saône. Disponible en juin...
Locaux d'activité
A LOUER – CIVRIEUX – 161 m² non divisibles
OMNIUM vous propose au sein d'un parc d'activité un superbe local d'activité de 2019, idéalement situé dans la zone artisanale...
Demande de rendez-vous
Bâtiment A – A VENDRE – GENAY – 328 m² non divisibles